Hurricane Milton leaves over 200 dead, over a million without power
Downgraded to a category 3 storm, Milton disrupted parts of Florida still dealing with Hurricane Helene's aftermath

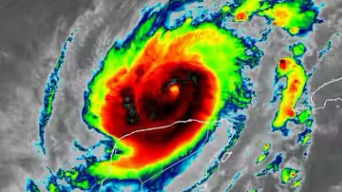
On Wednesday, Hurricane Milton made a devastating landfall along Florida's Gulf Coast, causing a destructive storm surge and widespread flooding, resulting in over 1 million households living without power.
In Tampa Bay, Milton's powerful winds caused a reverse storm surge. Still ravaged by Hurricane Helene, Tampa's water level gauge showed a big drop in water as the storm's eye moved south. Although Tampa was not directly hit, the cities faced winds of over 100 mph (160 kph) after producing a barrage of tornadoes. The storms left at least 230 people dead across the south near Florida.
In Tampa, St Petersburg recorded over 41 cm of rain, with a flash flood warning from the National Weather Service. The warning points towards heavy rainfall — a potential threat to human life — which may result in catastrophic flash flooding immediately or shortly. Tropicana Field, the home of the Tampa Bay Rays in St Petersburg, is reported to be severely damaged.
According to utility reports by poweroutage.us, Milton caused widespread power outages in Florida. Minutes after the landfall, over 70,000 homes and businesses were plunged into darkness. Reports say currently, more than 2 million homes and businesses are without power in Florida. It is reported that the highest number of outages are in Hardee County and the neighbouring Sarasota and Manatee counties.
Florida division of emergency management director Kevin Guthrie said, "Even before the hurricane was ashore, about 125 homes were destroyed, many of which were mobile homes in communities for senior citizens."
Across 15 Florida counties with a total population of about 7.2 million, authorities issued mandatory evacuation orders. Before Hurricane Milton arrived in the Tampa Bay area alone, over 3 million people were asked to evacuate their homes. Officials warned that anyone staying behind must fend for themselves as the first responders were not to risk their lives for rescue operations at the height of the storm.
St Petersburg mayor Ken Welch told residents to expect long power outages and the possible shutdown of the sewer system. According to reports, around 200 people showed up at Orlando’s high school to find a safe spot from the storm.
The hurricane quickly intensified — the second-strongest ever in the Gulf of Mexico. While it weakened slightly before hitting the coast, it grew noticeably larger in size, expanding from 175 miles to over 250 miles wide in just a few hours.
Airlines had cancelled about 1,900 flights. On Wednesday, SeaWorld was shut down, and Walt Disney World and Universal Orlando shut down in the afternoon. According to GasBuddy, more than 60 per cent of gas stations in Tampa and St Petersburg were out of gas Wednesday afternoon.
Follow us on: Facebook, Twitter, Google News, Instagram
Join our official telegram channel (@nationalherald) and stay updated with the latest headlines
